Mouthwash containing an antiviral phthalocyanine derivative shortens hospitalizations due to COVID-19

In a study published in the journal Scientific Reports, a research group from Brazil showed how antiviral anionic phthalocyanine derivative used in a mouthwash protocol may not only reduce the symptoms of coronavirus disease (COVID-19), but also hamper the spread of the severe acute respiratory syndrome coronavirus 2 (SARS-CoV-2).

Study: Beneficial effects of a mouthwash containing an antiviral phthalocyanine derivative on the length of hospital stay for COVID-19: randomised trial. Image Credit: goffkein.pro / Shutterstock​​​​​​​
Study: Beneficial effects of a mouthwash containing an antiviral phthalocyanine derivative on the length of hospital stay for COVID-19: randomised trial. Image Credit: goffkein.pro / Shutterstock

Hand washing, mask usage and social distancing were shown to be somewhat effective measures in our fight against the COVID-19 pandemic. However, considering that SARS-CoV-2 dissemination shows a strong association with the mouth, antiseptic mouthwashes have been suggested as an extra preventive step against the disease.

For example, phthalocyanines have shown good inactivation properties against different microbial pathogens, and their potential in various biological and medical applications has been recognized. Accordingly, some studies have already hinted that promising activity of anionic phthalocyanine derivative in a mouthwash protocol against SARS-CoV-2.

A recent study first-authored by Dr. Paulo Sérgio da Silva Santos from the Bauru School of Dentistry of the University of São Paulo went one step further, as it aimed to appraise the antiviral activity and cytotoxicity of anionic phthalocyanine derivative in laboratory conditions, but also to clinically assess its use in hospitalized patients with COVID-19.

Laboratory and clinical evaluation of the mouthwash

In this two-arm study, researchers have evaluated antiviral activity and cytotoxicity of anionic phthalocyanine derivative in vitro. Furthermore, a randomized controlled trial was conducted with a total of 41 hospitalized patients positive for COVID-19.

All patients included in the study have received standard care hospital treatment (non-intensive care) as recommended by the World Health Organization (WHO), together with either an active mouthwash (experimental group of 20 patients) or non-active mouthwash (control group of 21 patients).

This mouthwash intervention that has been used in both patient groups comprised one minute of gargling and rinsing – five times per day until they were discharged from the hospital. Groups were then compared in respect to their age, symptom burden and duration before admission, number of present comorbidities, and the length of hospital stay.

Consequently, the associations between group and age range, sex, comorbidity burden, admission to the intensive care unit and death have also been evaluated in detail. The study was considered triple-blind, as the patients, the examiner and the statistician were all blinded to the treatment groups.

Less symptoms and shorter hospital stay

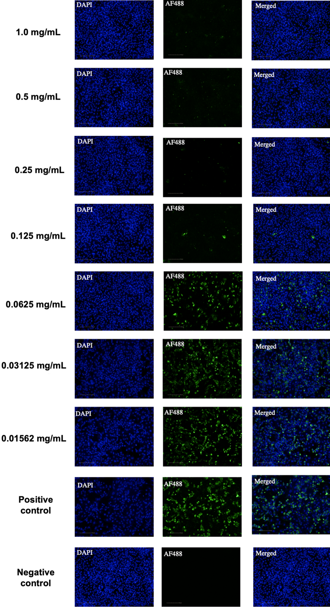
Laboratory evaluation has revealed that anionic phthalocyanine derivative compound was extremely effective in reducing SARS-CoV-2 viral load in the 1.0 mg/mL (99.96%) to 0.125 mg/mL (92.65%) range – without causing cytotoxicity. In other words, its antiviral efficacy in vitro has been confirmed.

Regarding the clinical trial, the median length of stay for the active mouthwash group was four days, which was significantly shorter when compared to the non-active group (four vs. seven days). In addition, gargling and rinsing with the mouthwash was somewhat helpful in reducing the severity of symptoms and the need for intensive care.

It is also important to emphasize that, according to the safety outcomes, no side effects have been reported by the patients from both study groups. And even though COVID-19 distribution patterns may vary country-wise in different hospitals, there have been no significant changes when comparing experimental and control groups in terms of sex, comorbidities, or symptom duration prior to hospitalization.

Indirect immunofluorescence (IIF) assay for the detection of SARS-CoV-2-infected cells. Representative images of the noncytotoxic concentrations (1.0 mg/mL up to 0.156 mg/mL) of APD observed with a 20 × objective. A mixture of MERS-CoV-infected and noninfected Vero cells was stained with convalescent serum monoclonal antibodies, followed by incubation with the Alexa488-conjugated goat anti-human IgG antibodies (green). Cells were counterstained with DAPI to stain the nuclei (blue). Positive (infected nontreated cells) and negative (noninfected cells) controls are shown at the bottom of the image. Images were taken using the Operetta High Content Imaging System (Perkin Elmer). Scale bar, 100 µm.
Indirect immunofluorescence (IIF) assay for the detection of SARS-CoV-2-infected cells. Representative images of the noncytotoxic concentrations (1.0 mg/mL up to 0.156 mg/mL) of APD observed with a 20 × objective. A mixture of MERS-CoV-infected and non-infected Vero cells were stained with convalescent serum monoclonal antibodies, followed by incubation with the Alexa488-conjugated goat anti-human IgG antibodies (green). Cells were counterstained with DAPI to stain the nuclei (blue). Positive (infected nontreated cells) and negative (noninfected cells) controls are shown at the bottom of the image. Images were taken using the Operetta High Content Imaging System (Perkin Elmer). Scale bar, 100 µm.

Implications for strategic planning

This study clearly showed that the mechanical action of the protocol that involves the mouthwash containing a compound with very specific antiviral effects against SARS-CoV-2 might reduce the symptoms of the patients and the subsequent spread of the virus.

“The outstanding results achieved in the active mouthwash group suggest that mouthwash in addition to other medications can be useful in the strategic planning of COVID-19 treatment by the World Health Organization”, emphasize the authors of this paper published in the journal Scientific Reports.

Nonetheless, disease dynamics, the healthcare environment, medications, pandemic stress, and sample size may represent possible study limitations. Hence, the interpretation and result generalizability should be performed with reservation, and further studies will be needed to contextualize these results in larger populations.

Journal reference:
Dr. Tomislav Meštrović

Written by

Dr. Tomislav Meštrović

Dr. Tomislav Meštrović is a medical doctor (MD) with a Ph.D. in biomedical and health sciences, specialist in the field of clinical microbiology, and an Assistant Professor at Croatia's youngest university - University North. In addition to his interest in clinical, research and lecturing activities, his immense passion for medical writing and scientific communication goes back to his student days. He enjoys contributing back to the community. In his spare time, Tomislav is a movie buff and an avid traveler.

Citations

Please use one of the following formats to cite this article in your essay, paper or report:

  • APA

    Meštrović, Tomislav. (2021, November 23). Mouthwash containing an antiviral phthalocyanine derivative shortens hospitalizations due to COVID-19. News-Medical. Retrieved on January 17, 2026 from https://www.appetitewellbeing.com/news/20211123/Mouthwash-containing-an-antiviral-phthalocyanine-derivative-shortens-hospitalizations-due-to-COVID-19.aspx.

  • MLA

    Meštrović, Tomislav. "Mouthwash containing an antiviral phthalocyanine derivative shortens hospitalizations due to COVID-19". News-Medical. 17 January 2026. <https://www.appetitewellbeing.com/news/20211123/Mouthwash-containing-an-antiviral-phthalocyanine-derivative-shortens-hospitalizations-due-to-COVID-19.aspx>.

  • Chicago

    Meštrović, Tomislav. "Mouthwash containing an antiviral phthalocyanine derivative shortens hospitalizations due to COVID-19". News-Medical. https://www.appetitewellbeing.com/news/20211123/Mouthwash-containing-an-antiviral-phthalocyanine-derivative-shortens-hospitalizations-due-to-COVID-19.aspx. (accessed January 17, 2026).

  • Harvard

    Meštrović, Tomislav. 2021. Mouthwash containing an antiviral phthalocyanine derivative shortens hospitalizations due to COVID-19. News-Medical, viewed 17 January 2026, https://www.appetitewellbeing.com/news/20211123/Mouthwash-containing-an-antiviral-phthalocyanine-derivative-shortens-hospitalizations-due-to-COVID-19.aspx.

Comments

The opinions expressed here are the views of the writer and do not necessarily reflect the views and opinions of News Medical.
Post a new comment
Post

Sign in to keep reading

We're committed to providing free access to quality science. By registering and providing insight into your preferences you're joining a community of over 1m science interested individuals and help us to provide you with insightful content whilst keeping our service free.

or

While we only use edited and approved content for Azthena answers, it may on occasions provide incorrect responses. Please confirm any data provided with the related suppliers or authors. We do not provide medical advice, if you search for medical information you must always consult a medical professional before acting on any information provided.

Your questions, but not your email details will be shared with OpenAI and retained for 30 days in accordance with their privacy principles.

Please do not ask questions that use sensitive or confidential information.

Read the full Terms & Conditions.

You might also like...
Half of hospitalized COVID-19 patients developed long COVID